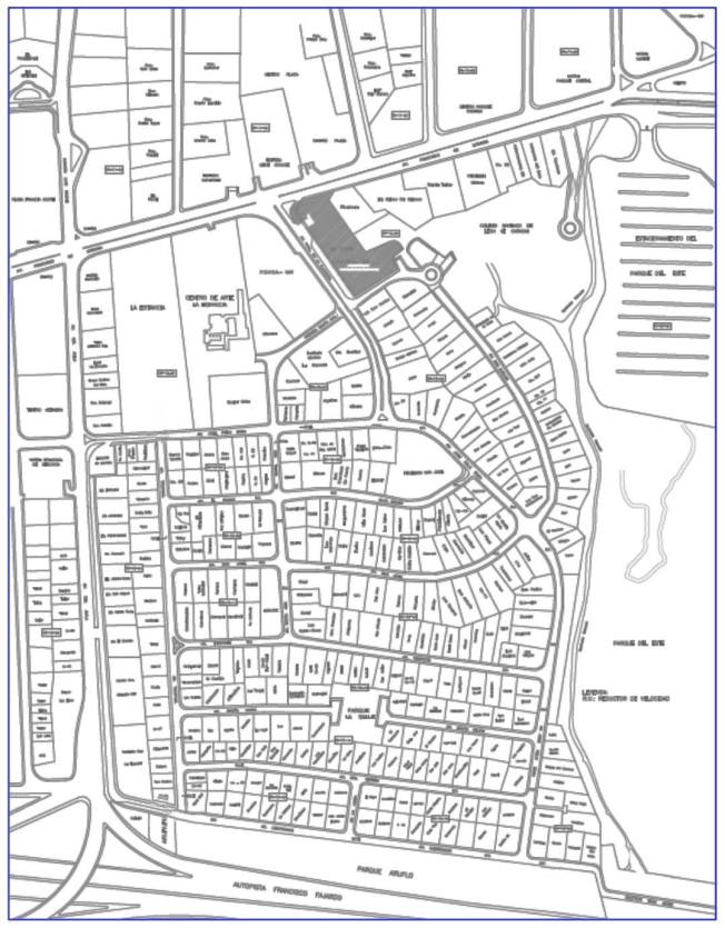
1952• Urbanización La Floresta

Urbanización La Floresta.jpg1952•  Julián Ferris Betancourt (1921-2009) (Ingeniero Arquitectónico, Universidad de Oklahoma 1945; Arquitecto, Universidad de Syracuse 1947; Arquitecto UCV al revalidar su título 1949) proyecta para la firma Perret- Sosa Rodríguez Ingenieros, S.A. (ing. Irwing Perret e ing. Julio Sosa Rodríguez), la Urbanización La Floresta, la cual fue construida en la parte norte de la antigua Hacienda del mismo nombre.
Para su desarrollo se dispuso de una superficie de 3.981 hectáreas ubicadas al sur de la actual avenida Francisco de Miranda y Los Palos Grandes; limitando al oeste con la parte sur de la urbanización Altamira y al este con la Quebrada Sebucán y el actual Parque del Este.
Al concluir la construcción del nuevo desarrollo urbano el tanque elevado del acueducto era el más alto de la capital.
La antigua Hacienda La Floresta fue fundada en 1783 para sembrar café en la ciudad capital de la Capitanía General de Venezuela. Mantuvo su vocación agrícola hasta el año 1944 cuando fue vendida.


Fuente: Consejo Comunal La Floresta, Fundación Empresas Polar y Patrimonio Cultural Venezolano.

HVH